Moruya Mechanics' Institute
| Moruya Mechanics' Institute | |
|---|---|
![]() Heritage boundaries | |
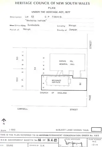
| Location | 13 Page Street, Moruya, Eurobodalla Shire, New South Wales, Australia |
| Coordinates | 35°54′39″S 150°04′40″E / 35.9109°S 150.0778°E |
| Official name | Mechanics Institute |
| Type | State heritage (built) |
| Designated | 2 April 1999 |
| Reference no. | 485 |
| Type | Mechanics' Institute |
| Category | Community Facilities |
![]() Location of Moruya Mechanics' Institute in New South Wales ![]() Moruya Mechanics' Institute (Australia) | |
The Moruya Mechanics' Institute is a heritage-listed mechanics' institute located at 13-Page Street, Moruya in the Eurobodalla Shire local government are of New South Wales, Australia. It was added to the New South Wales State Heritage Register on 2 April 1999.[1]
Heritage listing
The Moruya Mechanics' Institute was listed on the New South Wales State Heritage Register on 2 April 1999.[1]
See also
- List of Schools of Arts in New South Wales
References
Wikimedia Commons has media related to Moruya Mechanics' Institute.
- ^ a b "Mechanics Institute". New South Wales State Heritage Register. Department of Planning & Environment. H00485. Retrieved 1 June 2018.
Text is licensed by State of New South Wales (Department of Planning and Environment) under CC BY 4.0 licence.
Attribution
This Wikipedia article was originally based on Mechanics Institute, entry number 00485 in the New South Wales State Heritage Register published by the State of New South Wales (Department of Planning and Environment) 2018 under CC-BY 4.0 licence, accessed on 1 June 2018.
.jpg)

